The expert report about Diyarbakir Bar Association Chair Tahir Elçi, who was shot dead, is prepared 5 months after the murder. In the report, it is stated that it cannot be “medically or physically” known who shot Elçi.
The expert report on the recent crime scene investigation that was carried in the place where Elçi was shot on November 28 is completed. In the report, it is stated that, given the available evidences, it cannot be medically or physically known who shot Elçi.
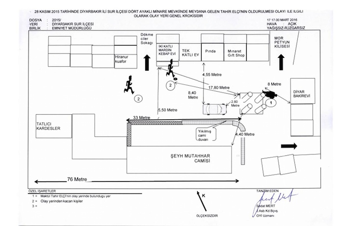
Previously, the crime scene investigation was delayed twice because of the clashes. Finally, on March 27, the investigation was carried out with the participation of Chief Public Prosecutor Ramazan Solmaz and members of the bar association.

8 possible points
Keeping the record of the investigation, gendarmerie stated that the crime scene is damaged because of the clashes and has lost its features it had during the shooting. During the investigation, a dummy was put in the place where Tahir Elçi had been standing and the point of shooting was investigated. 8 possible points were determined.
Fire from a long range
In the report, it is stated that the bullet was fired from a long range by a long or short barreled weapon.
It is also stated that it cannot be medically or physically known by which weapon, from which point and in which position Elçi was shot.

